When Was The Last Cat 4 Hurricane

Ever found yourself scrolling through news, catching glimpses of hurricane season updates, and wondering about the sheer power of nature? There’s something incredibly captivating, even a little awe-inspiring, about a massive storm. It’s not just the drama; it’s a deep curiosity about the forces that shape our world and how we adapt to them. Knowing the recent history of these events, like the last time a really big one hit, helps us understand the patterns, appreciate the science, and ultimately, feel a bit more prepared. It turns scary headlines into something we can learn from, making a seemingly serious topic surprisingly engaging!
So, why bother asking, "When was the last Category 4 hurricane?" Well, it's not just for trivia night! This knowledge is incredibly useful. It helps communities on the coast understand their vulnerability and plan for the future. It informs emergency services, inspires better building codes, and keeps the public alert. By understanding the frequency and intensity of past powerful storms, we gain vital perspective on current weather predictions and the importance of preparedness. It shifts our focus from mere curiosity to active, informed readiness.
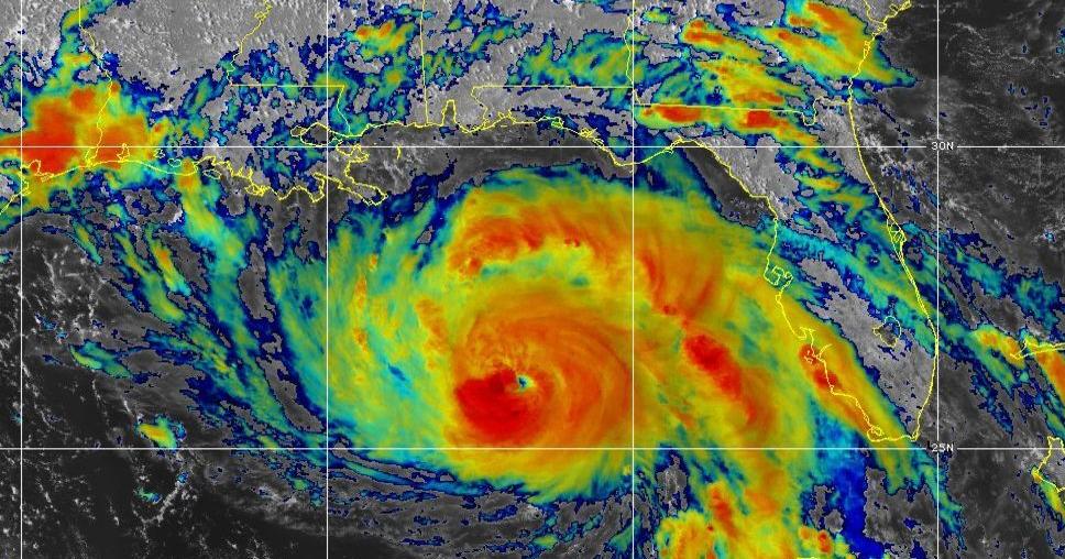
Drumroll, please! For the continental United States, the last time a Category 4 hurricane made landfall was with Hurricane Ian in September 2022. Ian was a true monster, roaring ashore in southwestern Florida. To be classified as a Category 4, a hurricane must have sustained wind speeds between 130 to 156 miles per hour (209 to 251 km/h). Ian not only met this criterion but exceeded it for a significant period. It brought devastating storm surge, widespread flooding, and catastrophic damage to areas like Fort Myers and Naples, forever changing the landscape and the lives of those in its path. Its memory is still fresh, serving as a powerful reminder of nature's raw force.
Must Read
The impact of a storm like Ian highlights why understanding hurricane categories and history is so crucial. A Category 4 hurricane isn't just a strong breeze; it's capable of causing extreme damage, including ripping roofs off well-built homes, toppling trees, and making areas uninhabitable for weeks or months. Its power underscores the importance of heed warnings, having an evacuation plan, and securing your property long before a storm approaches. While these events are terrifying, our ability to forecast and prepare for them has vastly improved, thanks to continuous scientific advancements and lessons learned from storms like Ian.
So, while the idea of a Category 4 hurricane might sound daunting, knowing its last appearance helps us put future forecasts into perspective and underscores the importance of respecting Mother Nature's incredible power. Stay curious, stay informed, and most importantly, stay safe!
